AED800,000
Own this from just
3,290 AED/month3,150 sqft / 293 sqm
LAND FOR SALE IN AL HELIO 2, AL HELIOCorner plot of land, including fees paid twice, near Azhi Roundabout. A great opportunity, AED 100,000 less than the market price.
Corner plot for sale. Very close to the main road. Area: 3150 sq ft. Permit for ground floor and two floors. Exemption from registration and ownership fees twice. Price: AED 800,000 (final).
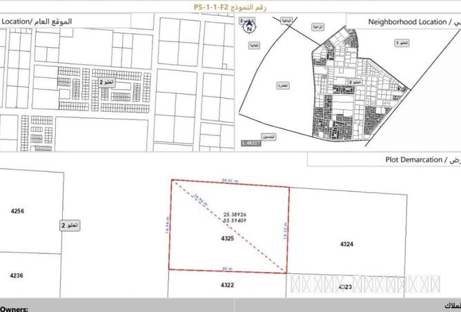
Residential land for sale in Al Helio 2 – Prime location. An excellent opportunity to own residential land in Al Helio 2, Ajman, in a desirable location suitable for living or investment. It is a corner plot with the added advantage of being in front of a mosque or park, giving it higher value, greater privacy, and an open view. Land Details:
Location: Al Helio 2 – Ajman
Type: Residential Land
Area: 293 sq m
Area in feet: 3150 sq ft
Location: The land has a large setback from a street and alley, suitable for the plot.
In front of the plot: Directly on a service road and close to Mohammed Bin Zayed Road.
Property Features:
Quiet and prime residential location
Corner location allowing for easy design and development
Open view that increases the land's value in the future
Suitable for building a family villa
Excellent option for living, investment, or resale
Close to services and main roads
This land is a good opportunity for those looking for a prime location in Al Zahia that combines tranquility, privacy, and excellent investment value.
For inquiries, please contact:
0606966039
Corner plot of land, including fees paid twice, ne
Corner plot for sale. Very close to the main road. Area: 3150 sq ft. Permit for ground floor and two floors. Exemption from registration and ownership fees twice. Price: AED 800,000 (final).
Residential land for sale in Al Helio 2 – Prime location. An excellent opportunity to own residential land in Al Helio 2, Ajman, in a desirable location suitable for living or investment. It is a corner plot with the added advantage of being in front of a mosque or park, giving it higher value, greater privacy, and an open view. Land Details:
Location: Al Helio 2 – Ajman
Type: Residential Land
Area: 293 sq m
Area in feet: 3150 sq ft
Location: The land has a large setback from a street and alley, suitable for the plot.
In front of the plot: Directly on a service road and close to Mohammed Bin Zayed Road.
Property Features:
Quiet and prime residential location
Corner location allowing for easy design and development
Open view that increases the land's value in the future
Suitable for building a family villa
Excellent option for living, investment, or resale
Close to services and main roads
This land is a good opportunity for those looking for a prime location in Al Zahia that combines tranquility, privacy, and excellent investment value.
For inquiries, please contact:
0606966039
Property details
Property Type
Land
Property Size
3,150 sqft / 293 sqm
Available from
3 Apr 2026
Location

Provided by

Emarh Real Estate LLC
Exclusively on Property Finder
Response time
within 5 minutes
Closed Deals
70
Languages
Arabic, Serbian
Get the right mortgage for you
Estimate your monthly mortgage payment
Monthly payment
3,290 AED
with interest rate of
3.75%
Regulatory information
Regulatory information
Reference
ASQMBQ0G312ERTWDKG5MTMP9CG
Listed
4 hours ago
Broker License
105634
Agent License
105634
Recommended for you
Own this property from just
3,290 AED /month
Fixed rates from: 3.75%
Get pre-approvedIn partnership with
