AED815,000
Own this from just
3,352 AED/month3,014 sqft / 280 sqm
LAND FOR SALE IN AL HELIO 2, AL HELIOA rare opportunity to purchase a residential villa plot for sale in Ajman Oasis 1, strategically located near Azha Roundabout, one of the emerging residential locations in Ajman that is witnessing increasing demand for residential land and villa construction.
The plot is positioned second plot from the main road, offering excellent accessibility while still providing the quiet and privacy desired for residential living.
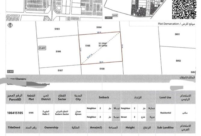
The total plot size is 3,014 square feet (280 square meters), which is considered an ideal size for building a modern family villa with spacious indoor areas and functional outdoor space such as private parking, landscaping, or outdoor seating areas.
Ajman Oasis 1 has become a growing residential destination due to its organized planning, modern infrastructure, and increasing number of newly constructed villas. The area continues to attract both end users and investors looking for affordable land in Ajman with strong development potential.
The location also benefits from easy connectivity to major roads including Sheikh Mohammed Bin Zayed Road, allowing convenient access to Sharjah and Dubai. This accessibility makes the area attractive for residents who work in neighboring emirates while seeking more affordable property options.
Investing in residential land for sale in Ajman Oasis or Al Zahya is considered a strategic decision for buyers who want to build a villa or secure a real estate asset in a developing residential community.
Property Details
Location: Ajman Oasis 1 – near Azha Roundabout
Property Type: Residential Villa Plot
Plot Size: 3,014 sq. ft. – 280 sqm
Price: AED 830,000
Price includes registration fees and developer transfer fees
Location Advantages
Near Azha Roundabout
Second plot from the main road
Growing residential community
Ideal for building a modern villa
Suitable for both end users and investors
This property represents an excellent opportunity for buyers looking to buy land in Ajman and build a custom villa in a gro
Rare Plot 3014 Sq Ft Ajman Oasis 1 Near Azha Round
The plot is positioned second plot from the main road, offering excellent accessibility while still providing the quiet and privacy desired for residential living.
The total plot size is 3,014 square feet (280 square meters), which is considered an ideal size for building a modern family villa with spacious indoor areas and functional outdoor space such as private parking, landscaping, or outdoor seating areas.
Ajman Oasis 1 has become a growing residential destination due to its organized planning, modern infrastructure, and increasing number of newly constructed villas. The area continues to attract both end users and investors looking for affordable land in Ajman with strong development potential.
The location also benefits from easy connectivity to major roads including Sheikh Mohammed Bin Zayed Road, allowing convenient access to Sharjah and Dubai. This accessibility makes the area attractive for residents who work in neighboring emirates while seeking more affordable property options.
Investing in residential land for sale in Ajman Oasis or Al Zahya is considered a strategic decision for buyers who want to build a villa or secure a real estate asset in a developing residential community.
Property Details
Location: Ajman Oasis 1 – near Azha Roundabout
Property Type: Residential Villa Plot
Plot Size: 3,014 sq. ft. – 280 sqm
Price: AED 830,000
Price includes registration fees and developer transfer fees
Location Advantages
Near Azha Roundabout
Second plot from the main road
Growing residential community
Ideal for building a modern villa
Suitable for both end users and investors
This property represents an excellent opportunity for buyers looking to buy land in Ajman and build a custom villa in a gro
Property details
Property Type
Land
Property Size
3,014 sqft / 280 sqm
Available from
15 Mar 2026
Location

Provided by
Hussein Ali
No ratings
SAMA CITY PROPERTIES L.L.C
See agency properties (33)Response time
within 15 minutes
Experience
7 years
Closed Deals
3
Languages
English, Arabic
Get the right mortgage for you
Estimate your monthly mortgage payment
Monthly payment
3,352 AED
with interest rate of
3.75%
Regulatory information
Regulatory information
Reference
XR80MKG1X31CD83E9ZGCY3W724
Listed
2 hours ago
Broker License
115264
Agent License
115264
Recommended for you
Own this property from just
3,352 AED /month
Fixed rates from: 3.75%
Get pre-approvedIn partnership with
